学校プールの解体について
学校外の屋内温水プールを活用した水泳指導へ移行した学校においては、現在学校プールを利用していない状況です。
学校プールを解体することで学校環境の向上が見込まれる以下の学校については、学校プールの解体を進めています。
金町小学校のプール解体について
金町小学校は令和5年度から学校外の屋内温水プールを活用した水泳指導に移行しました。
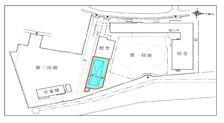
金町小学校は、第一校庭と第二校庭の間にプールがあるため、敷地が分断されています。また、職員室や第一校庭からはプールが死角となり、第二校庭が見渡せない状況です。プールを解体することで、第二校庭への死角が解消されるとともに、第一校庭との一体的な活用が可能となり、学校環境の向上が見込まれます。そのため、学校プールを解体することとしました。

金町小学校プール解体工事説明会を開催しました
金町小学校プール解体工事の説明会を開催しましたので、その概要を報告いたします。
東綾瀬小学校のプール解体について
東綾瀬小学校は令和4年度から学校外の屋内温水プールを活用した水泳指導に移行しました。
東綾瀬小学校は、第一校庭と令和6年度に整備を行った第二校庭の間にプールがあるため、職員室や第一校庭からはプールが死角となり、第二校庭が見渡せない状況です。学校プールを解体することで、第二校庭への死角が解消されるとともに、校庭が広くなり学校環境の向上が見込まれます。そのため、学校プールを解体することとしました。

東綾瀬小学校プール解体工事説明会を開催しました
東綾瀬小学校プール解体工事の説明会を開催しましたので、その概要を報告いたします。
PDFファイルをご覧いただく場合には、Adobe Readerが必要です。お持ちでない方は、アドビ社のサイト(新しいウィンドウで開きます)からダウンロード(無料)してください。
このページに関するお問い合わせ
学校施設課学校施設係
〒124-8555 葛飾区立石5-13-1 葛飾区役所4階 429番窓口
電話:03-5654-8453 ファクス:03-5698-1540
Eメールでのお問い合わせはこちらの専用フォームをご利用ください。
